FOTO HABER
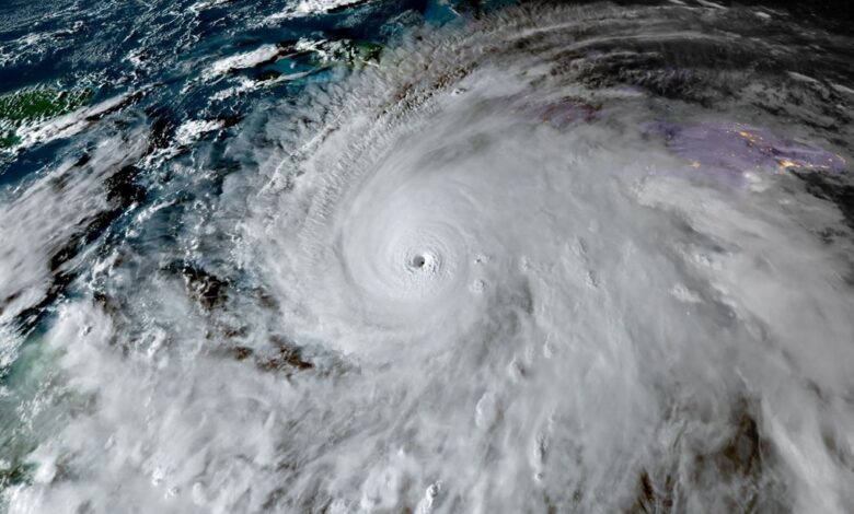
Yılın en güçlü kasırgası Jamaika’ya ulaştı: Melissa hakkında ne biliyoruz?


HALK ENDİŞELİ: “KORKUYORUZ”
Adanın kuzeyinde ailesini ziyaret eden Londralı Evadney Campbell, “Evimiz betonarme, dayanıklı bir yapı. Komşularımıza da bakıyoruz. Ancak alçak bölgelerde yaşayanlar yağmalama korkusuyla evlerinden ayrılmak istemiyor” dedi.
Dağlık Hagley Gap kasabasındaki öğretmen Damian Anderson ise Reuters’a konuşarak, “Yollar kapandı, dışarı çıkamıyoruz. Korkuyoruz” ifadelerini kullandı.
Jamaika Başbakanı Andrew Holness, sosyal medya platformu X üzerinden yaptığı açıklamada, “Her Jamaikalı hazırlıklı olmalı, fırtına sırasında evde kalmalı ve tahliye emirlerine uymalı. Bu fırtınayı atlatacağız ve daha güçlü yeniden inşa edeceğiz.” ifadelerini kullandı.



